La campeona panameña combina su pasión por el poomsae con su formación en Psicología, demostrando que el equilibrio mental es clave en el alto rendimiento...
Huracán Melissa: 70 panameños en Jamaica son monitoreados por la embajada de Panamá en el país
- 28/10/2025 08:22
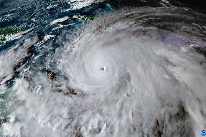
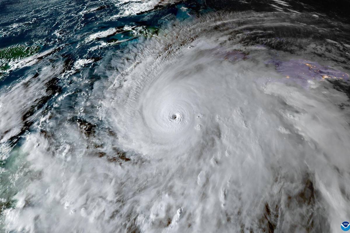
La amenaza del huracán Melissa sobre Jamaica no ha comprometido la seguridad personal de los panameños residentes en ese país, según informó el embajador de Panamá en Jamaica, Rolando Barrow.
El diplomático explicó a TVN Noticias que actualmente hay cerca de 70 panameños en territorio jamaicano y que la embajada ha habilitado un chat de comunicación directa para monitorear su situación en tiempo real.
El pasado 27 de octubre, el Centro Nacional de Huracanes (NHC, por sus siglas en inglés) de Estados Unidos informó que el ciclón tropical alcanzó la categoría 5, con vientos destructivos, marejada ciclónica e inundaciones catastróficas, que afectan principalmente a Jamaica.
“El canciller de la República, Javier Martínez-Acha, nos contactó ayer para garantizar que se salvaguarde la vida de los panameños en el país, quienes están siguiendo las indicaciones del gobierno local para protegerse”, aseguró Barrow.
El embajador añadió que el Ministerio de Relaciones Exteriores de Jamaica está realizando un inventario de daños y que próximamente se publicará una lista de necesidades humanitarias con el fin de solicitar apoyo de la comunidad internacional, si fuera necesario.
Sobre el impacto del huracán en la capital, Barrow indicó que se prevé que Melissa ingrese por el suroeste de Kingston, aunque durante la madrugada del martes el fenómeno se desvió ligeramente de su trayectoria inicial.
“El huracán se está alejando del punto focal de la capital. Se espera que entre con gran fuerza por el sur de la isla, avance hacia el oeste y finalmente salga por el norte, en una comunidad llamada Santa Ana”, detalló.
Agregó que, pese a su actual categoría 5, es probable que el huracán se fortalezca aún más una vez abandone Jamaica. “Por ahora solo se han registrado lluvias, sin reportes mayores de daños”, señaló el diplomático.
La Embajada de Panamá en Jamaica habilitó el número +876 278-0521 para brindar orientación a los compatriotas que requieran asistencia. “Estamos disponibles para guiarlos sobre qué refugios acudir, según su lugar de residencia. Ayer atendimos tres casos y seguimos pendientes”, concluyó Barrow.
Las autoridades locales informaron que hay 881 refugios habilitados en todo el país y que las actividades cotidianas se mantienen suspendidas ante el paso del huracán.